Cocklebur is a herbaceous plant of the Asteraceae family, or Asteraceae. It contains a large amount of iodine, which makes it possible to use plant raw materials for the preparation of medicines used in the treatment of thyroid diseases. Cocklebur is also effective against skin and joint diseases.
Content
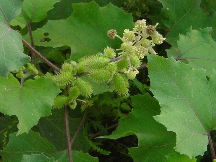
What a cocklebur looks like: a brief description and photo
Cocklebur is an annual plant with a stem covered with short, harsh hairs. The shape and shade of the leaves is different, depending on the species. Spike-shaped inflorescences in cocklebur appear in early summer, and the fruits ripen in autumn.
For its healing properties, the cocklebur was popularly called the iodine herb and goiter. The plant is also called sheep burdock, golden thorn, thistle thistle, nether thistle, scabies and scabies.
Cocklebur is used only in traditional medicine and is not included in the State Register of Medicines of the Russian Federation. Gobnik is an unpretentious plant and it can be grown in the open field for further collection of plant materials. The herb for the manufacture of medicines can not only be collected by yourself, but also purchased at the pharmacy.
What types of plants are used in traditional medicine
Most often, cocklebur, or goiter, is used for the preparation of medicines. This plant reaches a height of 120 cm, has ovoid or heart-shaped pale green leaves and a branched stem. From the foliage, seeds and roots of cocklebur are used to prepare medicines that help fight diseases of the bladder, thyroid gland and skin.
In folk medicine, Siberian cocklebur is also used. This plant reaches 60 cm in height and is distinguished by a straight stem and rich green leaves. On the basis of Siberian cocklebur, preparations are made for external and internal use.
For the preparation of medicines, you can also use cocklebur, or prickly. In action, it is similar to other varieties of goiter, which are used in folk medicine, but outwardly it is strikingly different from them. The cocklebur has a rigid stem and lanceolate leaves with needle-like spines.
Useful properties of the bedside
Iodine herb has the following beneficial properties:
- antispasmodic;
- diaphoretic;
- antineoplastic;
- bactericidal;
- anti-inflammatory;
- astringent;
- antifungal;
- antipyretic;
- decongestant.
Means based on cocklebur stimulate the production of the hormone testosterone, reduce the size of the thyroid gland, and also cleanse the body of toxic substances.
Indications for use
Medicines made from the aboveground and underground parts of this plant are used in the treatment of the following diseases:
- larynx and skin cancer;
- thyroid disease;
- bronchial asthma;
- joint diseases;
- malaria;
- skin diseases;
- tuberculosis;
- cold;
- bronchitis;
- diseases of the genitourinary system;
- dysentery.
Zobnik is also used in the treatment of gynecological diseases. Funds based on it are recommended to be used for mastopathy, fibroids and painful menstruation.
Contraindications and side effects
It is forbidden to use products based on iodine herb in the following cases:
- pregnancy and breastfeeding;
- ulcer of the duodenum and stomach;
- individual intolerance;
- chronic constipation;
- age up to 18 years.
You can use a preliminary test to determine if you are allergic to cocklebur. You need to apply a small amount of the product to the fold of the elbow. If after a while redness or itching appears, then you should not use the medicine. It should be remembered that a burning sensation is not a sign of an allergic reaction and is often manifested with external use of funds.
When using products made from goiter, the dosage should be strictly adhered to, since this plant is poisonous. Overdose leads to the following side effects:
- breathing disorder;
- significant decrease in blood pressure;
- symptoms of food poisoning (nausea, vomiting);
- chemical burn (at the initial stage it is manifested by a burning sensation in the throat).
If the above symptoms appear, you should urgently stop using the product and consult a doctor. Lack of timely medical care can lead to serious consequences for the body.
Popular recipes
All parts of the cocklebur are used to make medicines. Based on the roots, leaves, fruits and seeds at home, you can prepare the following remedies:
- broth;
- water infusion;
- tea;
- alcohol tincture;
- juice;
- extract;
- seed remedy;
- ointment.
Infusion
Ingredient List:
- 2 tsp vegetable raw materials;
- 250 ml boiling water.
Instructions for preparing water infusion:
- Add the herb to boiling water.
- Let the product brew for 2 hours.
- Strain the infusion.
The resulting product is recommended to be taken in case of impotence, 125 ml 2 times a day before meals.
Decoction
Ingredient List:
- 1 tbsp. l. dry leaves;
- 250 ml of water.
Step-by-step instructions for preparing a decoction:
- Pour plant materials with water.
- Simmer for 15 minutes over low heat.
- Strain the broth.
- Let the product brew for an hour.
This broth improves bowel function. It is recommended to drink it in 1 tbsp. l. 3 times a day. The broth can be used externally for skin diseases. Gauze should be soaked in the liquid and applied to the affected area on the body.
Tincture
Ingredient List:
- 2 tbsp. l. vegetable raw materials;
- 500 ml of vodka.
Instructions for making alcohol tincture:
- Pour the cocklebur with vodka.
- Remove the container with the product in a dark and cool place for 10 days.
- Filter out the tincture.
Alcohol tincture is used in the treatment of thyroid disorders. In 125 ml of boiled milk or hot water, add 0.5 tsp. of this remedy and take the resulting mixture 3 times a day before meals.
Juice
To prepare the juice, you will need to grind the vegetable raw materials in a meat grinder and squeeze the resulting gruel. The remaining liquid should be used for the treatment of laryngeal cancer by taking 15 drops orally, 2 times a day. The juice can also be used to lubricate the affected areas of the skin with lichen, scabies and hives.
You can also prepare an alcohol tincture based on the juice. Instructions for the manufacture and use of such a tool:
- Mix the juice with rubbing alcohol in a 1: 1 ratio.
- Close the container with the tincture.
- Take the resulting product in 30 drops for the prevention of tumor formation and 60 drops for oncological diseases.
Ointment
Ingredient List:
- 1 tbsp. a spoonful of dry cocklebur;
- 150 g melted fat.
Instructions for preparing the ointment:
- Mix ingredients.
- Boil the mixture.
- Filter the resulting product.
The finished ointment should be used externally for skin diseases, lubricating the inflamed areas with it.
Tea
Ingredient List:
- 1 tsp chopped fruits;
- 250 boiling water.
Instructions for making tea:
- Boil vegetable raw materials with boiling water.
- Keep the liquid in a water bath for 30 minutes. The product should not be brought to a boil.
It is recommended to drink freshly prepared tea 3 times a day after meals in case of cancer.
Extract
Ingredient List:
- 1 tbsp. l. herbs;
- 250 ml boiling water.
Instructions for preparing the extract:
- Pour boiling water over the grass.
- Hold the mixture in a water bath until half of the liquid has evaporated.
- Cool and filter the product.
It is recommended to consume the extract for gynecological diseases and goiter, 80 ml 3 times a day.
Seed based product
Ingredient List:
- 1 tbsp. l. seeds;
- 250 ml boiling water.
Step-by-step instructions for preparing the product:
- Grind the seeds to a powdery state.
- Pour boiling water over the resulting powder.
- Simmer the mixture over low heat for 10 minutes.
- Let the broth brew for an hour.
- Strain the medicine.
It is recommended to take this remedy for dysentery and diseases of the bladder, 65 ml 3 times a day.
Collection and storage of plant materials
Useful substances in different parts of the plant accumulate at a certain time. You need to collect the leaves and stems of the goiter in early August, harvest the seeds at the end of September, and dig up the roots in October.
It is not recommended to collect cocklebur that grows near the roadway, industrial facilities and settlements, since such grass contains toxic substances. The procedure for collecting a poisonous goiter should be carried out with gloves.
It is recommended to use special devices to dry the roots and seeds, and the leaves and stems can be laid out on paper and dried in the open air. It is advisable to cover the top with gauze in order to protect the grass from insects. It is recommended to store dried cocktail parts in small paper bags in a dry, well-ventilated area for no more than 3 years. Quality raw materials should be greenish-brown in color, with no signs of mold.
Feedback on the results of use
Girls, with psoriasis of nails it is necessary to do baths with cocklebur. I did every other day - cocklebur day, sea salt day. There were noticeable improvements. But this is coupled with the general fight against psoriasis.
I have an increase in shield. Iron, there is a knot. I decided to be treated with folk remedies, I use ointments, I drink tincture of white cinquefoil and cocklebur. My node has resolved thanks to herbs. I didn’t take anything except them. After the ultrasound, she donated blood for hormones and they were normal, only the volume of the shield gland was increased.
I was treated only by a cocklebur with a turnip for cholelithiasis and only in him I believe. The size of the stone was 1.5-2.5 not a small brick and were small. He brewed 1 tbsp, gained how much + 1 tbsp of cocklebur per 200 g of water, boiled water insisted for 30 minutes, divided into 3 parts, then each part was brought to 100 boiling water and drank on an empty stomach 3 times a day. The cocklebur grows in our 3 species, I took that 3 sharp thorns on the stem.
Video: the use of goiter in traditional medicine
Cocklebur is a poisonous weed widely used in folk medicine. When using funds based on it, dosages should be observed in order to avoid deterioration of the condition.About the dose and duration of the course of treatment with such drugs, you must first consult your doctor.








