Grapes can be grown wherever there is plenty of sun and moisture. The most favorable conditions for him are in the countries of the Mediterranean and Black Sea basin, in the Caucasus, the Balkans, in southern Africa and Central Asia. However, thanks to the efforts of breeders, a huge variety of varieties have been bred that grow and bear fruit well in various climatic conditions.
Content
A bit of history
The history of grapes goes back to antiquity. There is evidence that already in the IV century BC. e. wine was exported from Armenia to other countries. In ancient Greece, grapes were considered a gift from the gods, and on the territory of Georgia they have been cultivating them for more than 8 thousand years.
In Western Europe, grapes began to be cultivated much later. In the 18th century, King Frederick of Prussia ordered the founding of vineyards on the Rhine in order to have his own wine. This gave the result: Rhine wine was no less popular than French or Hungarian. But the climate of Western Europe (in particular, the short and cold growing season) gave an impetus to the development of varieties more adapted to such conditions.
In Russia, despite the harsh and long winters, grapes are a very widespread culture. The presence of a large number of varieties with different ripening times allows it to be grown even in areas where there are no wild relatives of this plant.
Features of growing and reproduction of grapes
The grapes are undemanding to soil fertility, they can grow in areas unsuitable for other crops. A large amount of humus is even harmful to him: there will be a large increase in green mass and a poor harvest. However, the plant does not tolerate saline and waterlogged soils, on which water stagnates for a long time, and in lowlands it is often affected by fungal diseases. The best place for the growth and fruiting of grapes will be on a hill.
You can propagate grapes by cuttings, layering, seeds or grafting. Its cuttings root very quickly, so this method is most often used. Getting seedlings from seeds is a rather lengthy process, while the plant does not always inherit maternal traits and begins to bear fruit after 4 years. But it is seed reproduction that is used for breeding work.
The vine has a highly developed root system, which is well buried in the ground and therefore does not freeze out. The roots provide nutrients to a vine with a lot of leaves and fruits. However, without proper care, the vineyard quickly turns into an impenetrable jungle, which leads to the spread of diseases and a sharp deterioration in the quantity and quality of berries. To prevent this from happening, stepsons, extra brushes and leaves are removed several times per season.
There is a certain order of work in the vineyard, regardless of which variety is planted and in which region:
- In the first year after planting, the plant is watered weekly, the soil is loosened and weeds are removed. When watering, you can add complex water-soluble fertilizers.
- Of all the shoots that appear on the seedling, 1-2 of the most developed are left. This is necessary so that by autumn they will ripen well and be able to overwinter.
- The following spring, the vines are tied to a trellis. In different regions, these terms depend on weather conditions.
- After budding, excess shoots are removed.
- Before flowering, when brushes are visible on the shoots, normalization is performed. The number of brushes left depends on the length and condition of the vine. Usually 1-2 brushes are left at the beginning of the shoot, and all the upper ones are removed.
- After flowering, pinching is carried out, which improves the nutrition of the brush. After pinching, the active growth of stepsons begins from the leaf axils. They are also removed periodically so that nutrients go to the formation and growth of the hand.
- 3-4 weeks before harvesting, the leaves are thinned: remove all the old ones in the lower part of the bush, as well as those that close the bunches.
- In preparation for winter in October (before pruning), the grapes are well watered.
- After that, all unripe shoots and foliage are removed.
- 2-3 vines are left, they are tied and bent to the ground.
- To prevent mice from damaging the vines in winter, they cover the bushes after the onset of the first frost. The best hiding place for grapes is sawdust. An additional layer of straw or fallen leaves can be added to them.
Grape varieties: criteria for separation
Centuries of breeding work were not in vain. Nowadays, you can pick up grape varieties for cultivation in almost any climatic zone, with the exception of swamps and tundra. For regions where it does not grow under natural conditions, many frost-resistant varieties with high palatability have been developed. For the winter in cold regions, such grape varieties are covered, but only young plants up to two years old. From the age of three, frost-resistant grapes can winter without shelter. For example, Amurskiy variety can withstand up to –29 ° C, Isabella variety - up to –32 ° C, Cay Gray - up to –42 ° C.
In addition to the degree of frost resistance, grapes are divided according to the ripening time. This is another criterion for choosing a variety for different regions. If in the south late varieties ripen quietly in September, then early and medium varieties are more suitable for the Moscow region, which can be harvested in July - August.
New varieties are being developed in all countries where grapes are grown. The most famous varieties are:
- Georgian selection - Rkatsiteli, Tsiolikauri, Tbilisuri, Saperavi, Tavkveri, etc. More than 500 grape varieties are grown in Georgia. Wild grapes also grow on its territory, which are used to develop new varieties;
- of Italian selection - Kishmish Regina, Viva Hayka, etc. On the territory of Italy, grapes have been grown since ancient times. The abundance of sun, sea air and volcanic soil favor this;
- Japanese selection - Gorby, Tien Shan, Highbury, etc. A distinctive feature of Japanese varieties is winter hardiness and unpretentiousness;
- American selection - Seneca, Bluebell, Ontario, etc. The main direction of breeding is winter-hardy non-sheltering varieties;
- French selection - Pink Clarette, Grenache, Pinot Noir, Semillon, etc. The favorable climate of France allows growing a large number of grape varieties.
Overview of grape varieties
A lot of grape varieties are grown in the world: white, pink, red, black, with different tastes and shapes of berries. All of them differ in terms of ripening and purpose, have their own advantages and disadvantages.
White grapes
White grapes lack anthocyanins - substances that give the berries a blue color. However, it contains vitamins and minerals that are beneficial to human health.
Table: characteristics of white grape varieties
| Variety | a brief description of | Ripening period | Appointment | disadvantages |
| Argus | Round berries with clary sage flavor, brushes up to 2.5 kg, low bush. Resistant to disease. Frost resistance - down to –26 ° C | Early | Dining room | Damaged by wasps. Berries are prone to cracking and decay in wet weather |
| Beauty of the North | The berries are round, slightly tart, with a herbaceous flavor. It is successfully grown in the central and northern regions, in Siberia and the Far East. Frost resistance - down to –26 ° C | Early | Dining room | Low resistance to disease. Often damaged by insects (wasps) |
| Antony the Great | The berries are large (up to 18 g), sweet with a nutmeg flavor. Bunches weighing from 0.8 to 1.5 kg. Suitable for cultivation in the south of Russia, in Moldova, Ukraine, Belarus | Middle | Dining room | Low frost resistance, requires shelter |
| Lady finger | Another name is Khusayne Bely. The best Uzbek grapes. The yield is high. Elongated berries, excellent taste | Middle | Dining room | Susceptible to fungal diseases. Low (down to –10 ° C) frost resistance. Fruiting in the fifth year after planting |
| Rkatsiteli | The berries have a pleasant specific taste. Frost resistance - up to –15 ° C | Late | Technical | Low frost resistance |
| Floral | The berries are sweet with a slight sourness, harmonious taste. When fully ripe, they acquire a honey tint. Frost resistance - down to –27 ° C | Late | Technical | Average resistance to diseases and pests |
In addition to those indicated in the table, white grape varieties include:
- early ripening: Alexa, White Miracle, Bianca, Blagovest, Galbena Nou, Gordey, Nakhodka, First-Called, Svetlana;
- average ripening period: Dixon, Druzhba, Nastya, Russian amber, Phenomenon.
- late ripening: Chardonnay.
Photo gallery: some varieties of white grapes
- Argus is an early white grape
- Rkatsiteli grape variety is used to make cognac
- Ladies finger grape is an old, but still popular variety for the southern regions of our country
- Bianca grapes weigh about 1.4 g
- Sparkling wine is made from the universal grape variety Druzhba
Pink grapes
Pink grapes have a sweeter flavor than white grapes. They can be painted in different colors - from light pink to bright purple.
Table: characteristics of pink grape varieties
| Variety | a brief description of | Ripening period | Appointment | disadvantages |
| Amirkhan | The berries are large, oval with a weak nutmeg flavor. Bunches weighing 0.4–0.8 kg. Frost resistance - up to –24 ° C | Early | Dining room | Medium disease resistance |
| Don dawns | The berries are round, large, and have a harmonious taste. Bunches weighing 0.7–0.9 kg. Resistant to disease. Frost resistance - up to –24 ° C | Early | Dining room | Not resistant to powdery mildew and moderately resistant to mildew |
| Angelica | Ksenia is called in another way. The berries are large, oval, very juicy and sweet. Bunches weighing up to 1.5 kg. Resistant to fungal diseases. Frost resistance - up to –25 ° C | Middle | Dining room | The variety is prone to pea berries |
| Asya | Berries of simple taste, large (up to 15 g). Bunches weighing 0.8–1 kg. Frost resistance - up to –22 ° C | Middle | Dining room | Medium disease resistance |
| Ataman | The berries are very large (up to 20 g), sweet and sour, with a harmonious taste. Harvesting in the south - after September 15th. Bunches weighing up to 1.5 kg. Frost resistance - down to -23 ° C | Late | Dining room | Does not like thickening, requires frequent thinning |
| Flamingo | Brushes up to 800 g.Pink berries with a waxy coating, weighing up to 10 g | Late | Dining room | The bush needs normalization |
There are other varieties of pink grapes:
- early ripening: Gift to Irina, Rylines Pink Sidlis, Brilliant, Parisian, Chameleon, Jaguar;
- medium ripening: Favor, Romeo, Ruby Jubilee, Senator, Vodogray, Dubovsky pink.
Photo gallery: some varieties of pink grapes
- The grapes of the Podarok Irina variety are pink with a purple tint
- Angelica grapes are very sweet
- The berries of the Dubovsky pink grape reach a weight of 20 g
- Flamingo grapes in the middle lane only ripen by September
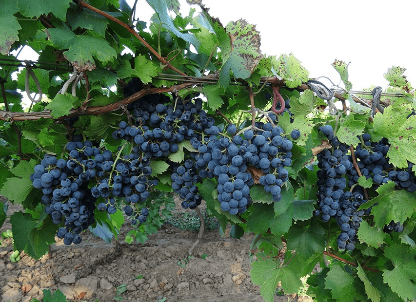
Dark (black) grapes
Black grapes have a completely different taste from white and pink, in which there are notes of astringency. It normalizes blood pressure and is very useful for people with heart disease.
Table: characteristics of black grape varieties
| Variety | a brief description of | Ripening period | Appointment | disadvantages |
| Early Magaracha | Sweet and sour berries, round or oval, are used to make wines. Frost resistance - up to –18 ° C | Early | Technical | Prone to shedding ripe berries |
| Denisovsky | The berries are medium-sized, sweet, with a bright nutmeg taste. Frost resistance - down to –27 ° C | Early | Technical | No information |
| Alyonushka | The berries are large, elongated-oval, without seeds, sweet, aromatic. Frost resistance - down to -23 ° C | Middle | No information | Low resistance to fungal diseases |
| Northern shoulder | The berries are juicy, sweet, wine-tasting, medium-sized. Frost resistance - up to –32 ° C | Middle | Technical | Prone to shedding berries |
| August | The berries are small, black, weighing up to 1.7 g, with a nutmeg-floral flavor. Grown in the North Caucasus region | Early | Technical | Small berries and bunches |
| December | The berries are large, ovoid, and have a good taste. They have excellent shelf life - they can be stored until December. Bunches weighing 0.3–0.5 kg. Resistant to disease. Frost resistance - down to –27 ° C | Late | Dining room | No information |
In addition to those listed in the table, black grape varieties include:
- early ripening: Triumph, Witch's fingers, Athos, Gala, Giovanni, In memory of Dombkovskaya, Muromets, Zabava;
- medium ripening period: Taiga, Levokumsky, Krasin, Furshetny, Odessa souvenir;
- late ripening: Cabernet Sauvignon.
Photo gallery: some dark grape varieties
- Vintage red table wines are prepared from the French grape variety Cabernet Sauvignon
- Berries of grapes Witch's fingers really look like elongated and curved fingers
- The fruits of the December grapes are named so for a reason - they can be stored for a very long time
- The Early Magaracha grape variety is used in the production of dark-colored table wine
Cognac and technical grape varieties
Technical grape varieties are specially bred for processing. They have small brushes with small berries, but sweeter and juicier than table varieties. For the industrial production of juices and wine, only technical grape varieties are used. You can also eat it. Technical grades include:
- Crystal,
- Fortune,
- Muscat Odessa,
- Floral,
- Regent and others.
For the production of cognac, certain technical grape varieties are used: only white or pink and always without the taste of muscat. It can be:
- Rkatsiteli,
- Aligote,
- Cleret,
- Uni Blanc (Trebbiano) and many others.
Growing grapes in the regions of Russia
There is a wide variety of climatic zones on the territory of Russia: from subtropics to tundra. The most favorable conditions for growing grapes are in the south of our country: the Crimea, the Caucasus, Krasnodar and Stavropol Territories. In these regions, you can grow various table and technical varieties with any ripening period of berries.Mild winters make it possible to cultivate grapes on an industrial scale in a non-covering way without the risk of freezing of plants. For example, in the Crimea, the Damsky finger, or Khusaine Belyi variety, which freezes at temperatures below -10 ° C, is successfully grown.
In the Volgograd region, grapes of all ripening periods have time to yield. Warm weather from April to September, and sometimes in October, makes it possible for late varieties to fully ripen. But in winter there are frequent significant drops in temperature. For successful cultivation in this region, it is better to give preference to frost-resistant varieties (not less than -25 °) or take care of a good shelter of vines for the winter. With the covering method of cultivation, it is possible to obtain excellent grape yields in varieties with low frost resistance.

In the Volgograd region and other regions of Russia close to the south, it is popular to cover grapes for the winter with film or spunbond
For cultivation in the North-West of Russia, in Udmurtia or Tatarstan, it is preferable to use varieties of early and medium ripening. With a covering method of growing, the frost resistance of the selected varieties may not be very high. For a non-covering method, the following varieties can be recommended:
- Svetlana (-25 ° C),
- Phenomenon (-24 ° C),
- Krasa Nikopol (-25 ° C),
- Muromets (-26 ° C),
- Redness (–26 ° C).
Thanks to the work of breeders, the cultivation of grapes in Siberia, the Urals and the Far East is quite possible. In the southern regions of these regions, some late varieties can also ripen, but it is still better to give preference to early and middle ones. For a non-sheltering method of growing, we can safely recommend Japanese, Russian and American varieties:
- Triumph (-40 ° C),
- Taiga (-32 ° C),
- Levokumsky (-35 ° C)
- Northern shoulder (–32 ° C).
Reviews
The berries are fleshy, the peel is firm, but not very thick, has a pleasant aroma and good taste. Odessa souvenir has an average frost resistance, and therefore, of course, like all table grape varieties, it must be removed, stacked and covered for the winter.
For me, all grape varieties are similar to each other, like two drops of water. But Isabella is an exception. It is unlike any other variety! A dense brush with round berries (about 1 cm in diameter). The skin is rather thick, bluish-black, knitting a little. Barbarously gnawing into a grape, the first thing you feel is the insanely delicious sweet juice. Next comes the light, sour pulp. And here the first distinguishing feature from other grape varieties - the flesh of Isabella is similar to chewing jelly. Yes, there is something similar in drinks like Fruiting, where coconut jelly floats, only the pulp of the grapes is much softer, softer, juicier, tastier))
My Friendship is also 5 years old, taking into account the frozen greenery last year, I took off 7 kg, since there were few grapes, they ate everything. He took it off in mid-September, moderately sweet, there was a harmonious acid. Great nutmeg. As a friend said - the taste of childhood, now this is not sold. They started trying at the end of August. The bunch still hangs here, the acid is gone completely, very sweet, the nutmeg is gone a little, but you can feel it. So, in our latitude, we wait all the way for wine ... P.S. Lies well. 2 weeks at room temperature no problem. Probably because of the harsh skin, but crunches.
It is possible and necessary to grow grapes and delight yourself and your loved ones with the taste of this wonderful berry in any region. When there is a great desire to achieve a goal, any obstacle is surmountable. Plant this wonderful plant in your plots, get big yields, enjoy the unique taste of berries. Good luck to you!


























